ヤマノイモ   (山の芋)   ヤマノイモ科 


和名の由来  「サトイモ」、「ナガイモ」などは畑でつくる。本種は「山」に生える「イモ」だからヤマノイモ
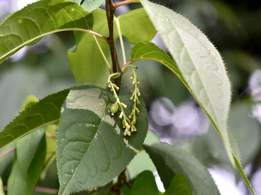
花の特徴  茎は樹木などに巻き付く 花序が立ち上るのは雄花で雄株 垂れ下がって咲くのは雌花で雌株
開花時期  9−10月
分布生育地  本州 四国 九州     野山の草藪
その他   (仲間)  オニドコロ


(画像clickで拡大)
23.08.15.  (yamagata-bot)12.08.09.  (hata-gre)12.08.09.  (hata-gre)05.08.21.  (tai-mt)13.08.07.  (hata-gre)14.07.25.  (hata-gre)14.08.03.  (hata-gre)15.07.30.  (tohoku-bot)15.07.30.  (tohoku-bot)15.08.04.  (yasou-bot)15.09.16.  (yasou-bot)15.08.04.  (yasou-bot)15.08.10.  (yasou-bot)10.09.01.  (tai-mt)05.09.16.  (tai-mt)